Cismigiu 801.32 mp 0 mp

O oportunitate unica de investitie intr-o zona ultracentrala! Va prezentam spre vanzare o cladire de birour, construita in anul 2009, situata in imediata apropiere a Parcului Cismigiu – una dintre cele mai prestigioase si bine cotate zone din Bucuresti.

Detalii principale:

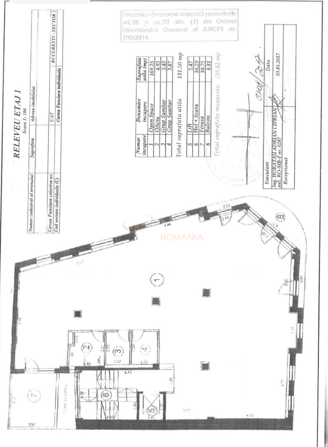
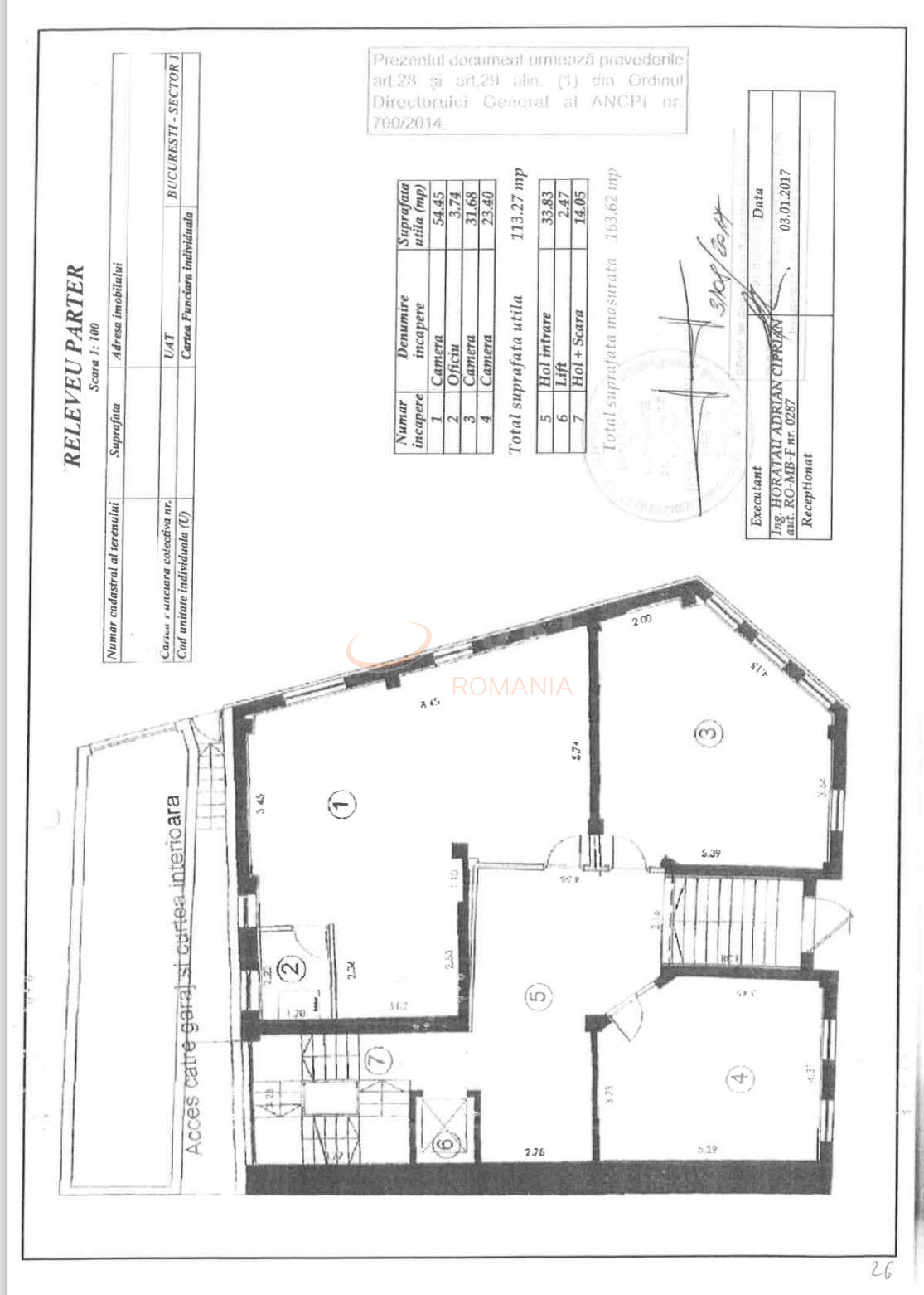
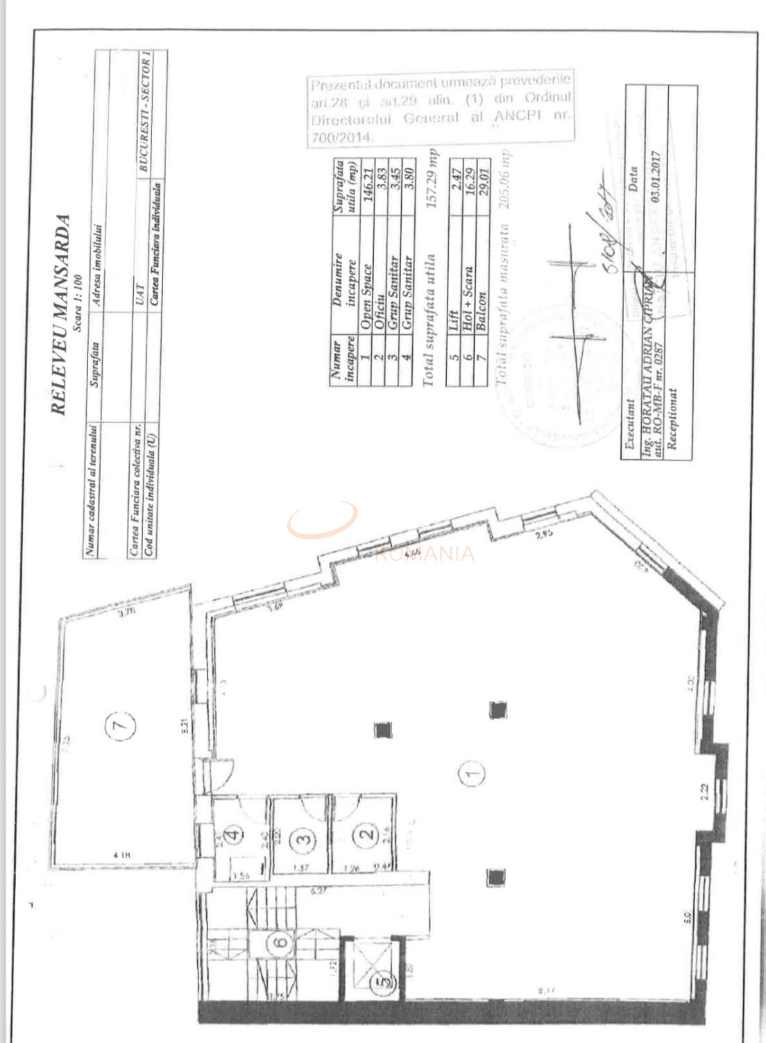
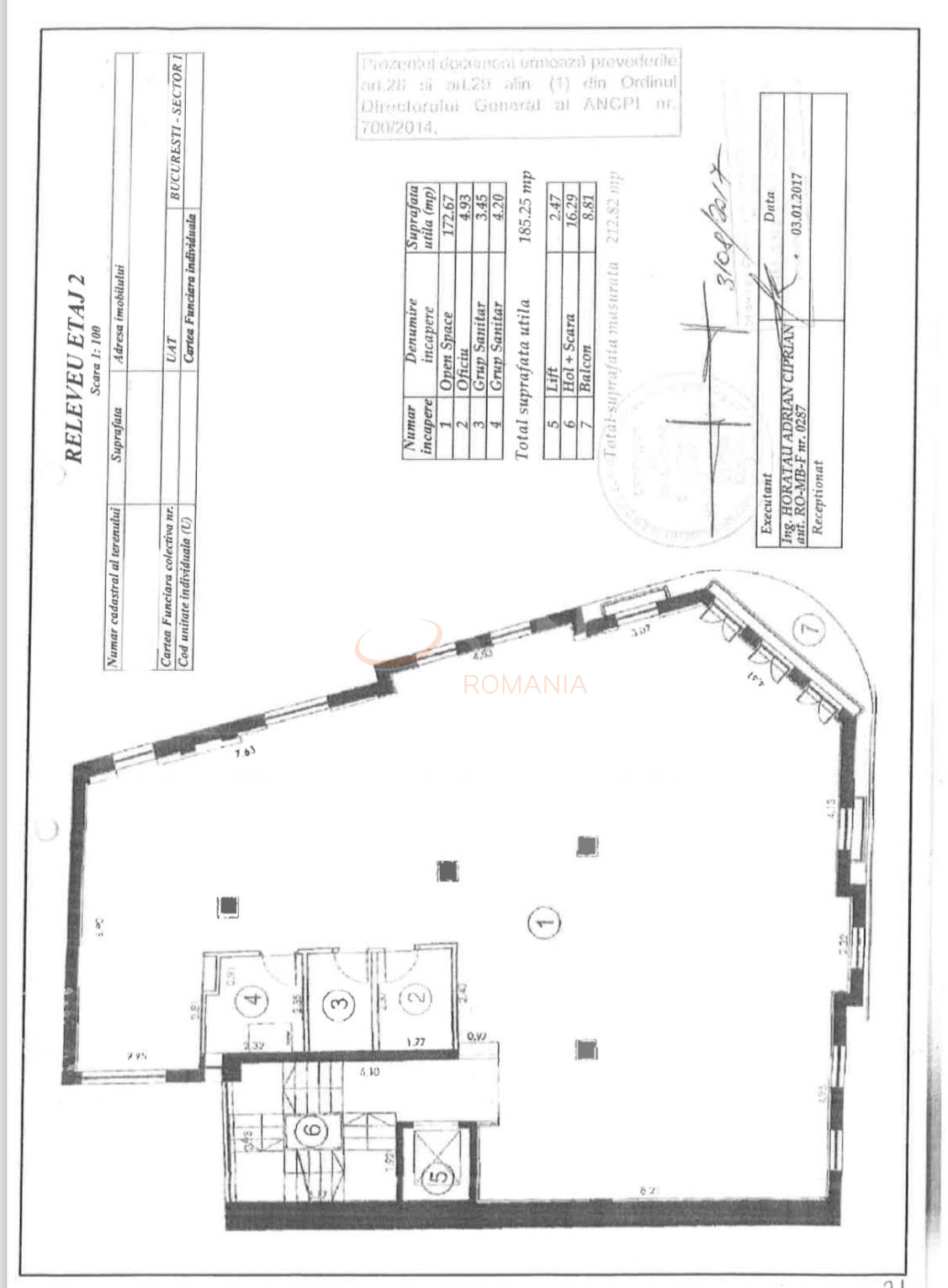
Suprafata utila: 800 mp

Regim de inaltime: (completati cu D+P+2E+M)

An constructie: 2009

Locatie: Zona Parcul Cismigiu – acces facil catre toate punctele de interes din centrul orasului

Parcare: 4 locuri de parcare dotate cu sistem automatizat Klauss

Lift

Climatizare: Sistem centralizat de climatizare pentru confort optim in orice anotimp

Incalzire: Centrala termica proprie

Cladirea beneficiaza de finisaje de calitate, compartimentare eficienta si lumina naturala din abundenta, fiind ideala pentru sedii de firma, birouri de avocatura, cabinete de arhitectura, consultanta sau alte activitati profesionale.

Avantaje:

Zona linistita, cu acces rapid la mijloace de transport, restaurante, institutii si spatii verzi

Infrastructura moderna si dotari complete

Imobil bine intretinut, pregatit pentru preluare imediata

Pretul si detaliile suplimentare sunt disponibile la cerere.

Regim Inaltime P / D + P + 2 + M

Etaj P

Nr. bai 6

Suprafata comerciala 801.32 mp

Suprafata depozit 0 mp

Disponibila incepand cu 2025-09-17

Judet Bucuresti

Oras/ Sector Sector 1

Zona Cismigiu

Gps lat 44.443013

Gps lng 26.091200

Nr. terase 2

Commercial space type Cladire de birouri

Internet prin fibra optica

Acoperis mansardat

Facilitati pentru persoane cu handicap

Baie privata

Supraveghere 24/7

Receptie

Spatiu de depozitare

Detector de incendiu

Supraveghere video

Detector de gaze

Sistem de alarma

Lift

Termoizolatie

Interfon

Internet Wireless

Internet prin cablu

Curent electric

Cablu TV

Geamuri termopan

Parchet

Boxa

Gresie

Telefon

Loc parcare subteran

Faianta

Gaz

Incalzire proprie

WC serviciu

Aer conditionat

Bucatarie mobilata

Valoare proprietate (€)

Perioada (ani)

Procent avans (420.000 €)


Suma creditata 2.380.000

Dobanda 4.9%

Rata lunara 58.841 lei

Broker Imobiliar

Adrian Mantu , Consultant imobiliar Vezi toate proprietatile

0317100200

Cladire de birouri Cismigiu

Pret vanzare
2.800.000 €

Telefon Consultant imobiliar
0317100200

Cod: REC3001533

Proprietati similare

Bucuresti, Ultracentral, Piata Victoriei

Spatiu comercial 2530 mp

P

2.980.000 EUR

Detalii

Bucuresti, 1 Mai, Titulescu

Spatiu comercial 2937 mp

S

2.900.000 EUR

Detalii

Bucuresti, Mihai Bravu, Mihai Bravu (s2)

Spatiu comercial 1571 mp

P

3.050.000 EUR

Detalii

Bucuresti, Herastrau

Spatiu comercial 466 mp

1

2.975.000 EUR

Detalii
Spatii-comerciale vandute in Ultracentral, Bucuresti Spatii-comerciale de vanzare in Ultracentral, Bucuresti

Afla primul de cele mai bune oferte
inainte sa ajunga pe piata

Aboneaza-te la newsletter

Aboneaza-te la notificari