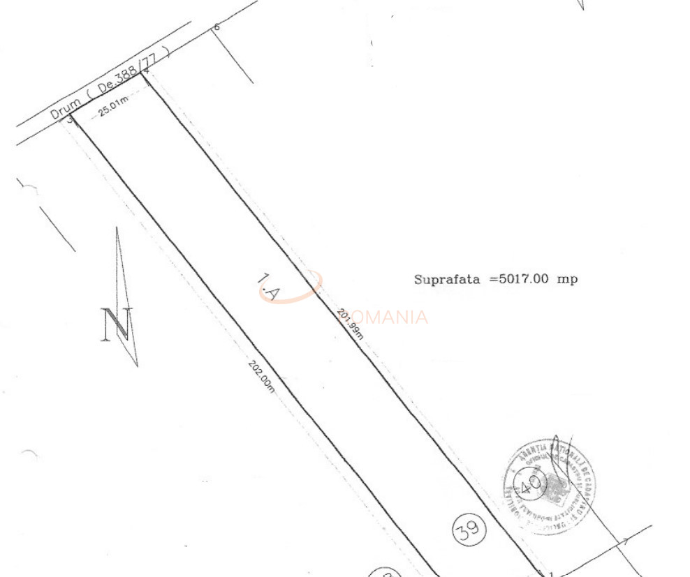
Teren 5017 mp, Ilfov / Nord / Otopeni
Dispune de o deschidere la strada de 25 metri, oferind acces facil pentru vehicule de mare tonaj si vizibilitate foarte buna.
Zona destinata constructiei de hale industriale, spatii logistice, depozite sau alte activitati economice.
Acces facil catre centura, DN1, Aeroportul Otopeni si autostrada A0.
Utilitati in zona.
Pentru mai multe detalii sau pentru programarea unei vizionari, va rugam sa ne contactati.
Echipa SVN Residentialist este aici pentru a va facilita achizitionarea terenului mult visat!
Vizionarea acestui imobil se face doar in baza semnarii unui acord de vizionare conform codului civil art 2.096-2.102.
Atribute
Deschidere stradala 25
Suprafata 5017 mp
Adancime 202 m
POT 50
CUT 2.30
Disponibila incepand cu 2025-07-31
Judet Ilfov
Oras/ Sector Nord
Zona Otopeni
Gps lat 44.527275
Gps lng 26.032308
Credit ipotecar
                                                             
                                                    
Sorin Netejoru , Consultant imobiliar Vezi toate proprietatile
Teren de vanzare in Otopeni
 Pret vanzare  
  661.500 €  
Telefon Consultant imobiliar
 
                0317100200
            
        
 
  
  
  
  
  
  
  
  
  
   
   
   
   
  