Otopeni 650 mp

SVN Romania propune spre vanzare un teren intravilan, cu suprafata de 650 mp, deschidere 19,84 ml, situat in orasul Otopeni, jud. Ilfov.

Terenul nu este imprejmuit si nu dispune de utilitati.

Accesul se realizeaza pe un drum de servitute dinspre strada Ciprian Porumbescu.

Conform Certificatului de Urbanism, POT max. 85%, CUT max. 2,2, Hc max. 15 m

Pentru mai multe informatii, va rugam sa ne contactati.

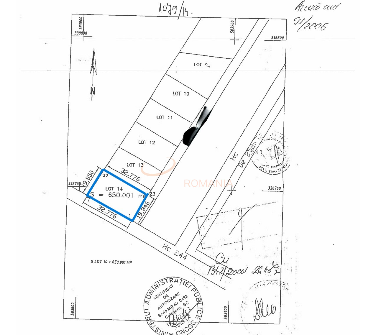
Deschidere stradala 19.84 m

Suprafata 650 mp

Adancime 32.77

POT 85

Disponibila incepand cu 2026-03-04

Judet Ilfov

Oras/ Sector Nord

Zona Otopeni

Gps lat 44.547044

Gps lng 26.053542

Valoare proprietate (€)

Perioada (ani)

Procent avans (20 €)


Suma creditata 111

Dobanda 4.9%

Rata lunara 3 lei

Broker Imobiliar

Constantin Nicolae , Consultant imobiliar Vezi toate proprietatile

0317100200

Teren 650 mp Intravilan Otopeni de Vanzare

Pret vanzare + TVA
130 €/mp

Telefon Consultant imobiliar
0317100200

Cod: REL4001279

Proprietati similare

Discount

Ilfov, Nord, Corbeanca

Teren 638 mp

140 EUR

Detalii

Ilfov, Sud, Bragadiru

Teren 654 mp

129 EUR

Detalii
Terenuri vandute in Nord, Ilfov Terenuri de vanzare in Nord, Ilfov

Afla primul de cele mai bune oferte
inainte sa ajunga pe piata

Aboneaza-te la newsletter

Aboneaza-te la notificari